Řazení: od nejnovějších | od nejlevnějších  |  Nejdříve ověřené RK: ano | ne

SLUNNÝ POZEMEK S VÝHLEDEM NA ZÁMEK I BOUBÍN VE VIMPERKU ZA SKVĚLOU CENU
Pozemek | Zahrady | 1142m²
před 2 hodinami 685 000

SLUNNÝ STAVEBNÍ POZEMEK 960 m2 V ŽÁDANÉ LOKALITĚ HOMOLKA, VIMPERK
Pozemek | Bydlení | 960m²
před 9 dny 3 495 000

STAVEBNÍ POZEMEK VE VIMPERKU – JIŽNÍ SVAH S VÝHLEDEM NA ZÁMEK I BOUBÍN
Pozemek | Bydlení | 1287m²
před 2 hodinami 3 730 000

VÝJIMEČNÝ STAVEBNÍ POZEMEK VE VIMPERKU S VÝHLEDEM NA ZÁMEK A BOUBÍN
Pozemek | Bydlení | 2037m²
před 2 hodinami 3 870 000
685 000

SLUNNÝ POZEMEK S VÝHLEDEM NA ZÁMEK I BOUBÍN VE VIMPERKU ZA SKVĚLOU CENU

Ulice Družstevní v Vimperku; Vimperce, okres Prachatice

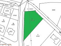
SLUNNÝ POZEMEK S VÝHLEDEM NA ZÁMEK I BOUBÍN VE VIMPERKU ZA SKVĚLOU CENU. Pozemek: výměra 1.142 m2. Popis: Nabízíme k prodeji krásný pozemek o výměře 1.142 m² v malebném městě Vimperk, které je známé jako brána Šumavy. Lokalita potěší milovníky přírody, klidu i aktivního života – v okolí najdete nespočet turistických tras, cyklostezek i jedinečné scenérie šumavské krajiny. Pozemek leží na začátku ulice Malá Homolka. Pozemek se nachází na mírném jihozápadním svahu, díky čemuž je krásně prosluněný po celý den. Jeho velkou předností je nádherný výhled na vimperský zámek i majestátní horu Boubín. Přístup je zajištěn po asfaltové komunikaci a přímo na pozemek jsou již přivedeny inženýrské sítě – voda, kanalizace i elektřina. Dle územního plánu je pozemek veden jako plocha soukromé zeleně s možností realizace staveb, jako jsou pergola, skleník, bazén, přístřešky či objekty pro zemědělské využití. Nabízí tak ideální příležitost pro vytvoření relaxační zahrady, rekreačního zázemí nebo menšího hospodářského zázemí. Velkým benefitem je také příznivá cena. Pokud hledáte místo s jedinečnou atmosférou, krásnými výhledy a skvělou dostupností do přírody, je tento pozemek ve Vimperku tou pravou volbou.


Prohlídky a prodej zprostředkuje

Ilona Korcová
E-mail: korcova@sumavskarealitka.cz
Telefon: +420724834692

Aktuálně zastupuje u 15 nemovitostí


Nezávazně se zeptejte! chcete více informací o nemovitosti?

Odesláním souhlasíte s poskytnutím dat třetí straně (= realitní kanceláři). Nezbytné, abychom dotaz mohli poslat. Vaše data nezneužijeme.
Pole označené (*) jsou povinné.

Zastupující realitní kancelář

Ilona Korcová - šumavská Realitka
Ověřená realitní kancelář

Aktuálně má v nabídce 37 nemovitostí


Sdílejte nemovitost

Trvalý odkaz
Kontaktovat prodejce

Číslo zakázky 2026023
Typ Prodej
Kategorie Pozemky
Podkategorie Zahrady
Umístění objektu Klidná část obce
Plocha pozemku 1,142 m²
Plocha zahrady 1,142 m²
Nízkoenergetický Ne
Stav objektu Velmi dobrý
Bezbariérový Ne
Voda Dálkový vodovod
Elektřina 230V, 400V
Odpad Veřejná kanalizace
Balkon Ne
Lodžie Ne
Terasa Ne
Garáž Ne
Parkování Ne
Sklep Ne
Energetická náročnost budovy G - Mimořádně nehospodárná (neuvedeno)
Doprava Silnice
Komunikace Asfaltová


Inzerát exportován programem: realitní správce 20.3.2026 000 15:30 (poslední úprava: 20.3.2026 000 15:33)
Chcete získat více informací o nemovitosti?
Načítání...